조황관리HOME / 조황관리 / 상세정보

제목 : 26일. 감성돔 조황입니다
등록일 : 2026-01-27












*안녕하세요..뉴푸른바다호 입니다* 

#감성돔 #감성돔출조 
#감성돔선상 
#점주조황 #선상찌흘림 
#솔직한 조황
☆예약하신후 입금까지 해 주세요

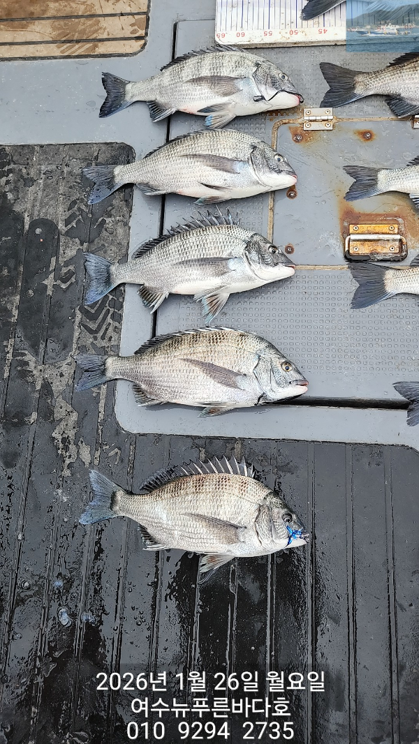
26일 감성돔 6분의 조황 입니다. 

채비 단단히 점검해 주시기 바랍니다. .
함께 해주신 조사님들 수고 하셨습니다.
기상이 오락 가락 하네요 . .

요즘 제철인 감시가 제~일 맛있습니다

쿡 쿡 쳐박는 짜릿한 손맛 보러 오세요.

감성돔은 쭈~~~욱 출조 합니다.

*출조시간은 전날 오후에 문자 드립니다.
(문자 확인 꼭~ 꼭 부탁드립니다)

함께 하실 조사님들 문자또는 전화 주세요.
010. 9294. 2735로 콜~~

☆선상 24로 예약 하러가기



*** 여수 뉴푸른바다호 예약 안내 ***


예약문의 : 010-9294-2735

오시는길 : 전남 여수시 어항단지로 18 (소경도대합실 앞 방파제 끝쪽 좌측)

모바일.gif 

Top