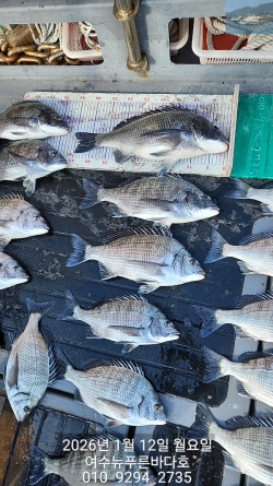
*안녕하세요..뉴푸른바다호 입니다*#감성돔 #감성돔출조 #감성돔선상 #점주조황 #선상찌흘림 #솔직한 조황14일 감성돔 6분조황 입니다.좋은 날씨에 출조하여서 4짜 마릿수하고 마무리... 다른 조사님은 싸이즈 좋은것4방 터져 불고 . . 수심.채비에 신경써 주세요. . (지발요)함께하신. 조사님들 수고하셨습니다.내일(16일) 감성돔 출조 합니다.날씨 괜찮습니다. 자리 여유 있습니다.요즘 제철인 감시가 제~일 맛있습니다*선비:12만원(밑밥.미끼.식사 포함)*선사제공(생수.음료수.컵라면.커피.스낵류)쿡 쿡 쳐박는 짜릿한 손맛 보러 오세요.감성돔은 쭈~~~욱 출조 합니다.*출조시간은 전날 오후에 문자 드립니다.(문자 확인 꼭~ 꼭 부탁드립니다)함께 하실 조사님들 문자또는 전화 주세요.010. 9294. 2735로 콜~~☆선상 24로 예약 하러가기https://blueocean.sunsang24.com/*** 여수 뉴푸른바다호 예약 안내 ***예약문의 : 010-9294-2735오시는길 : 전남 여수시 어항단지로 18 (소경도대합실 앞 방파제 끝쪽 좌측)홈페이지 : https://blueocean.sunsang24.com/
*안녕하세요..뉴푸른바다호 입니다*#감성돔 #감성돔출조 #감성돔선상 #점주조황 #선상찌흘림 #솔직한 조황12일 감성돔 조황 입니다.3분의 조사님들 모시고손맛보고 왔습니다.함께하신. 조사님들 수고하셨습니다.내일 감성돔 출조 합니다.날씨 괜찮습니다. 4자리 여유 있습니다.요즘 제철인 감시가 제~일 맛있습니다*선비:12만원(밑밥.미끼.식사 포함)*선사제공(생수.음료수.컵라면.커피.스낵류)쿡 쿡 쳐박는 짜릿한 손맛 보러 오세요.감성돔은 쭈~~~욱 출조 합니다.*출조시간은 전날 오후에 문자 드립니다.(문자 확인 꼭~ 꼭 부탁드립니다)함께 하실 조사님들 문자또는 전화 주세요.010. 9294. 2735로 콜~~☆선상 24로 예약 하러가기https://blueocean.sunsang24.com/*** 여수 뉴푸른바다호 예약 안내 ***예약문의 : 010-9294-2735오시는길 : 전남 여수시 어항단지로 18 (소경도대합실 앞 방파제 끝쪽 좌측)홈페이지 : https://blueocean.sunsang24.com/
*안녕하세요..뉴푸른바다호 입니다*#감성돔 #감성돔출조 #감성돔선상 #점주조황 #선상찌흘림 #솔직한 조황내일 감성돔 출조 합니다.날씨 괜찮습니다.자리 여유 있습니다.요즘 제철인 감시가 제~일 맛있습니다아시는분들은 아시겠지만. 우리 선장님 조황이 별로다. .라고생각하시면 사진안찍는거 아시죠. 전 속이 탑니다요. . .ㅠ ㅠ*선비:12만원(밑밥.미끼.식사 포함)*선사제공(생수.음료수.컵라면.커피.스낵류)쿡 쿡 쳐박는 짜릿한 손맛 보러 오세요.감성돔은 쭈~~~욱 출조 합니다.*출조시간은 전날 오후에 문자 드립니다.(문자 확인 꼭~ 꼭 부탁드립니다)함께 하실 조사님들 문자또는 전화 주세요.010. 9294. 2735로 콜~~☆선상 24로 예약 하러가기https://blueocean.sunsang24.com/*** 여수 뉴푸른바다호 예약 안내 ***예약문의 : 010-9294-2735오시는길 : 전남 여수시 어항단지로 18 (소경도대합실 앞 방파제 끝쪽 좌측)홈페이지 : https://blueocean.sunsang24.com/
*안녕하세요..뉴푸른바다호 입니다*#감성돔 #감성돔출조 #감성돔선상 #점주조황 #선상찌흘림 #솔직한 조황내일 감성돔 출조 합니다.기상 괜찮습니다.8자리 여유 있습니다.맛있는 감생이 잡으러 같이 가보시게요.토.일요일은 날씨가 삐리 삐리 합니다.*선비:12만원(밑밥.미끼.식사 포함)*선사제공(생수.음료수.컵라면.커피.스낵류)쿡 쿡 쳐박는 짜릿한 손맛 보러 오세요.감성돔은 쭈~~~욱 출조 합니다.*출조시간은 전날 오후에 문자 드립니다(문자 확인 꼭 꼭 부탁드립니다)함께 하실 조사님들 문자또는 전화 주세요.010. 9294. 2735로 콜~~☆선상 24로 예약 하러가기https://blueocean.sunsang24.com/*** 여수 뉴푸른바다호 예약 안내 ***예약문의 : 010-9294-2735오시는길 : 전남 여수시 어항단지로 18 (소경도대합실 앞 방파제 끝쪽 좌측)홈페이지 : https://blueocean.sunsang24.com/
*안녕하세요..뉴푸른바다호 입니다*#감성돔 #감성돔출조 #감성돔선상 #점주조황 #선상찌흘림 #솔직한 조황금요일 감성돔 출조 합니다.기상 괜찮습니다.8자리 여유 있습니다.토요일은 날씨를 더 지켜 봐야 될것 같습니다.맛있는 감생이 잡으러 같이 가보시게요.*선비:12만원(밑밥.미끼.식사 포함)*선사제공(생수.음료수.컵라면.커피.스낵류)쿡 쿡 쳐박는 짜릿한 손맛 보러 오세요.감성돔은 쭈~~~욱 출조 합니다.*출조시간은 전날 오후에 문자 드립니다(문자 확인 꼭 꼭 부탁드립니다)함께 하실 조사님들 문자또는 전화 주세요.010. 9294. 2735로 콜~~☆선상 24로 예약 하러가기https://blueocean.sunsang24.com/*** 여수 뉴푸른바다호 예약 안내 ***예약문의 : 010-9294-2735오시는길 : 전남 여수시 어항단지로 18 (소경도대합실 앞 방파제 끝쪽 좌측)홈페이지 : https://blueocean.sunsang24.com/
*안녕하세요..뉴푸른바다호 입니다*#감성돔 #감성돔출조 #감성돔선상 #점주조황 #선상찌흘림 #솔직한 조황내일 감성돔 정상출조 합니다.기상 괜찮습니다.4자리 여유 있습니다.맛있는 감생이 잡으러 같이 가보시게요.*선비:12만원(밑밥.미끼.식사 포함)*선사제공(생수.음료수.컵라면.커피.스낵류)쿡 쿡 쳐박는 짜릿한 손맛 보러 오세요.감성돔은 쭈~~~욱 출조 합니다.*출조시간은 전날 오후에 문자 드립니다(문자 확인 꼭 꼭 부탁드립니다)함께 하실 조사님들 문자또는 전화 주세요.010. 9294. 2735로 콜~~☆선상 24로 예약 하러가기https://blueocean.sunsang24.com/*** 여수 뉴푸른바다호 예약 안내 ***예약문의 : 010-9294-2735오시는길 : 전남 여수시 어항단지로 18 (소경도대합실 앞 방파제 끝쪽 좌측)홈페이지 : https://blueocean.sunsang24.com/
*안녕하세요..뉴푸른바다호 입니다*#감성돔 #감성돔출조 #감성돔선상 #점주조황 #선상찌흘림 #솔직한 조황2026년 1월1일 새해 첫감성돔 조황 입니다. 4짜외에 감시들 . . 터져 불고 빗기 불고 . . . ㅠ. ㅠ함께 해주신 조사님들 바람부는데도낚시 하시니라 고생 많으셨습니다.*구멍찌는 사용하지 마세요일요일 감성돔 출조 합니다.맛있는 감생이 잡으러 같이 가보시게요.*선비:12만원(밑밥.미끼.식사 포함)*선사제공(생수.음료수.컵라면.커피.스낵류)쿡 쿡 쳐박는 짜릿한 손맛 보러 오세요.감성돔은 쭈~~~욱 출조 합니다.*출조시간은 전날 오후에 문자 드립니다(문자 확인 꼭 꼭 부탁드립니다)함께 하실 조사님들 문자또는 전화 주세요.010. 9294. 2735로 콜~~☆선상 24로 예약 하러가기https://blueocean.sunsang24.com/*** 여수 뉴푸른바다호 예약 안내 ***예약문의 : 010-9294-2735오시는길 : 전남 여수시 어항단지로 18 (소경도대합실 앞 방파제 끝쪽 좌측)홈페이지 : https://blueocean.sunsang24.com/
*안녕하세요..뉴푸른바다호 입니다*#감성돔 #감성돔출조 #감성돔선상 #점주조황 #선상찌흘림 #솔직한 조황12월28일 감성돔 조황 입니다. 5짜에 살짝 아쉬운 48 이네요. .ㅠ 4짜외에 감시들 . . 터져불고 빗기 불고 . . . ㅠ. ㅠ함께 해주신 조사님들수고 많으셨습니다.*구멍찌는 사용하지 마세요내일 감성돔 출조 합니다.2자리 여유 있습니다.맛있는 감생이 잡으러 같이 가보시게요.*선비:12만원(밑밥.미끼.식사 포함)*선사제공(생수.음료수.컵라면.커피.스낵류)쿡 쿡 쳐박는 짜릿한 손맛 보러 오세요.감성돔은 쭈~~~욱 출조 합니다.*출조시간은 전날 오후에 문자 드립니다(문자 확인 꼭 꼭 부탁드립니다)함께 하실 조사님들 문자또는 전화 주세요.010. 9294. 2735로 콜~~☆선상 24로 예약 하러가기https://blueocean.sunsang24.com/*** 여수 뉴푸른바다호 예약 안내 ***예약문의 : 010-9294-2735오시는길 : 전남 여수시 어항단지로 18 (소경도대합실 앞 방파제 끝쪽 좌측)홈페이지 : https://blueocean.sunsang24.com/
*안녕하세요..뉴푸른바다호 입니다*#감성돔 #감성돔출조 #감성돔선상 #점주조황 #선상찌흘림 #솔직한 조황12월27일 감성돔 조황 입니다.시즌 3번째 5짜가 나왔습니다. 4짜외 감시들 까지 . .삐까리는 가라~~~함께 해주신 조사님들수고 많으셨습니다.*구멍찌는 사용하지 마세요내일 감성돔 출조 합니다.자리 여유 있습니다.맛있는 감생이 잡으러 같이 가보시게요.*선비:12만원(밑밥.미끼.식사 포함)*선사제공(생수.음료수.컵라면.커피.스낵류)쿡 쿡 쳐박는 짜릿한 손맛 보러 오세요.감성돔은 쭈~~~욱 출조 합니다.*출조시간은 전날 오후에 문자 드립니다(문자 확인 꼭 꼭 부탁드립니다)함께 하실 조사님들 문자또는 전화 주세요.010. 9294. 2735로 콜~~☆선상 24로 예약 하러가기https://blueocean.sunsang24.com/*** 여수 뉴푸른바다호 예약 안내 ***예약문의 : 010-9294-2735오시는길 : 전남 여수시 어항단지로 18 (소경도대합실 앞 방파제 끝쪽 좌측)홈페이지 : https://blueocean.sunsang24.com/
*안녕하세요..뉴푸른바다호 입니다*#감성돔 #감성돔출조 #감성돔선상 #점주조황 #선상찌흘림 #솔직한 조황12월23일 감성돔 조황 입니다.9분의 조사님들 모시고 출조 댕겨 왔습니다.오늘은 힘든 낚시하고왔네요.입질이 예민해서 그런지 물것 같으면서도 안물은건 . . .그와중에 두방 터져불고요. .채비 점검 하세요. ..함께 해주신 조사님들수고 많으셨습니다.토요일 감성돔 출조 합니다.현재 5분 예약중5자리 여유 있습니다.(무조건 나갑니다)☆일요일 3자리 여유있습니다맛있는 감생이 잡으러 같이 가보시게요.*선비:12만원(밑밥.미끼.식사 포함)*선사제공(생수.음료수.컵라면.커피.스낵류)쿡 쿡 쳐박는 짜릿한 손맛 보러 오세요.감성돔은 쭈~~~욱 출조 합니다.*출조시간은 전날 오후에 문자 드립니다(문자 확인 꼭 꼭 부탁드립니다)함께 하실 조사님들 문자또는 전화 주세요.010. 9294. 2735로 콜~~☆선상 24로 예약 하러가기https://blueocean.sunsang24.com/*** 여수 뉴푸른바다호 예약 안내 ***예약문의 : 010-9294-2735오시는길 : 전남 여수시 어항단지로 18 (소경도대합실 앞 방파제 끝쪽 좌측)홈페이지 : https://blueocean.sunsang24.com/
*안녕하세요..뉴푸른바다호 입니다*#감성돔 #감성돔출조 #감성돔선상 #점주조황 #선상찌흘림 #솔직한 조황지금 바다에서는 감생이와 씨름중. ..내일 감성돔 출조 합니다.현재 5분 예약중5자리 여유 있습니다.(무조건 나갑니다)맛있는 감생이 잡으러 같이 가보시게요.*선비:12만원(밑밥.미끼.식사 포함)*선사제공(생수.음료수.컵라면.커피.스낵류)쿡 쿡 쳐박는 짜릿한 손맛 보러 오세요.감성돔은 쭈~~~욱 출조 합니다.*출조시간은 전날 오후에 문자 드립니다(문자 확인 꼭 꼭 부탁드립니다)함께 하실 조사님들 문자또는 전화 주세요.010. 9294. 2735로 콜~~☆선상 24로 예약 하러가기https://blueocean.sunsang24.com/*** 여수 뉴푸른바다호 예약 안내 ***예약문의 : 010-9294-2735오시는길 : 전남 여수시 어항단지로 18 (소경도대합실 앞 방파제 끝쪽 좌측)홈페이지 : https://blueocean.sunsang24.com/
*안녕하세요..뉴푸른바다호 입니다*#감성돔 #감성돔출조 #감성돔선상 #점주조황 #선상찌흘림 12월20일 감성돔 조황입니다.씨알이~~영~~~4짜 3마리외 까리들~~수고들 많으셨습니다.김사장님.남여사님 수고하셨습니다.***바늘은4호~ 면~좋~아~용~***함께 해주신 조사님들 수고하셨습니다.월요일 부터 감성돔 출발 합니다.현재 3분 예약중7자리 여유 있습니다.(무조건 나갑니다)맛있는 감생이 잡으러 같이 가보시게요.선비:12만원(밑밥.미끼.식사 포함)*선사제공(생수.음료수.컵라면.커피.스낵류)쿡 쿡 쳐박는 짜릿한 손맛 보러 오세요.감성돔은 쭈~~~욱 출조 합니다. *출조시간은 전날 오후에 문자 드립니다(문자 확인 꼭 꼭 부탁드립니다)함께 하실 조사님들 문자또는 전화 주세요.010. 9294. 2735로 콜~~☆선상 24로 예약 하러가기https://blueocean.sunsang24.com/*** 여수 뉴푸른바다호 예약 안내 ***예약문의 : 010-9294-2735오시는길 : 전남 여수시 어항단지로 18 (소경도대합실 앞 방파제 끝쪽 좌측)홈페이지 : https://blueocean.sunsang24.com/
*안녕하세요..뉴푸른바다호 입니다*#감성돔 #감성돔출조 #감성돔선상 #점주조황 #선상찌흘림 12월19일 감성돔 조황입니다.9분의 조사님들 모시고 출조댕겨 왔습니다.4포인트 옴겨서 잡은 감성돔. . (4마리 홀라당~~~)***바늘은4호~ 면~좋~아~용~***함께 해주신 조사님들 수고하셨습니다.맛있는 감생이 잡으러 같이 가보시게요.선비:12만원(밑밥.미끼.식사 포함)*선사제공(생수.음료수.컵라면.커피.스낵류)쿡 쿡 쳐박는 짜릿한 손맛 보러 오세요.감성돔은 쭈~~~욱 출조 합니다. *출조시간은 전날 오후에 문자 드립니다(문자 확인 꼭 꼭 부탁드립니다)함께 하실 조사님들 문자또는 전화 주세요.010. 9294. 2735로 콜~~☆선상 24로 예약 하러가기https://blueocean.sunsang24.com/*** 여수 뉴푸른바다호 예약 안내 ***예약문의 : 010-9294-2735오시는길 : 전남 여수시 어항단지로 18 (소경도대합실 앞 방파제 끝쪽 좌측)홈페이지 : https://blueocean.sunsang24.com/
*안녕하세요..뉴푸른바다호 입니다*#감성돔 #감성돔출조 #감성돔선상 #점주조황 #선상찌흘림 내일 감성돔 출조 합니다. 9자리 여유 있습니다.맛있는 감생이 잡으러 같이 가보시게요.선비:12만원(밑밥.미끼.식사 포함)*선사제공(생수.음료수.컵라면.커피.스낵류)쿡 쿡 쳐박는 짜릿한 손맛 보러 오세요.☆토요일 2자리 여유 일요일 8자리 여유감성돔은 쭈~~~욱 출조 합니다. *출조시간은 전날 오후에 문자 드립니다(문자 확인 부탁드립니다)함께 하실 조사님들 문자또는 전화 주세요.010. 9294. 2735로 콜~~☆선상 24로 예약 하러가기https://blueocean.sunsang24.com/*** 여수 뉴푸른바다호 예약 안내 ***예약문의 : 010-9294-2735오시는길 : 전남 여수시 어항단지로 18 (소경도대합실 앞 방파제 끝쪽 좌측)홈페이지 : https://blueocean.sunsang24.com/
*안녕하세요..뉴푸른바다호 입니다*#감성돔 #감성돔출조 #감성돔선상 #점주조황 #선상찌흘림 (12월16일) 감성돔 첫 출조 조황입니다.6분의 조사님들 모시고 첫 출조댕겨 왔습니다. .포인트마다 감생이가~~~마지막 포인트에서 어~~따~~4짜이상 마릿수~~~~빠진 감생이도 있었다고 하네요..채비 잘 정검 하시기 바랍니다.함께 해주신 조사님들 수고 하셨습니다.목요일 감성돔 출조 합니다.자리 여유 있습니다.맛있는 감생이 잡으러 같이 가보시게요.선비:12만원(밑밥.미끼.식사 포함)*선사제공(생수.음료수.컵라면.커피.스낵류)쿡 쿡 쳐박는 짜릿한 손맛 보러 오세요.감성돔은 쭈~~~욱 출조 합니다. *출조시간은 전날 오후에 문자 드립니다(문자 확인 부탁드립니다)함께 하실 조사님들 문자또는 전화 주세요.010. 9294. 2735로 콜~~☆선상 24로 예약 하러가기https://blueocean.sunsang24.com/*** 여수 뉴푸른바다호 예약 안내 ***예약문의 : 010-9294-2735오시는길 : 전남 여수시 어항단지로 18 (소경도대합실 앞 방파제 끝쪽 좌측)홈페이지 : https://blueocean.sunsang24.com/
*안녕하세요..뉴푸른바다호 입니다.내일 감성돔 첫 출조 스타트 합니다.요 며칠 전에 지인 2분 짬 낚시 조황 입니다.4자리 여유 있습니다.함께 하실 조사님들 모십니다.010. 9294 2735로 전화 주세요. .https://blueocean.sunsang24.com/*** 여수 뉴푸른바다호 예약 안내 ***예약문의 : 010-9294-2735오시는길 : 전남 여수시 어항단지로 18 (소경도대합실 앞 방파제 끝쪽 좌측)홈페이지 : https://blueocean.sunsang24.com/
*안녕하세요..뉴푸른바다호 입니다*#7.93톤 #쭈꾸미낚시 # 선장.사무장포함:18인승#12월 16일 부터 감성돔 출조#정직한조황#거짓없는 조황#솔직한 조황사진 #종일반#파격선비 이벤트:5만원(내일:15일) (입금안하신분들 입금해 주세요. 미 입금시 예약 취소 합니다)오늘도 똥바람~바람이 부는 와중에도 따복 따복 올라왔습니다.무슨 바람이 요렇고럼. 부는지. . .배 잡는 선장님도 힘들고낚시 하시는 조사님들도 힘든하루였습니다.☆내일 쭈꾸미 출조 합니다. 신기.화태권으로 갑니다.또?어디로 튈지 몰라유. .현재 9분 예약중(출항확정)7자리 여유 있습니다.쭈꾸미 마지막 출조. . *선비:5만원(점심없음)*선사제공(생수.음료수.커피.스낵류.컵라면)☆화요일 부터. 감성돔(선상) 출조합니다선실에 따뜻하게 난방 틀어드립니다. 날씨가 많이 추워졌습니다..옷 따뜻하게 챙겨 입고 오세요.핫팩은 필수 ~~*출조시간:06시20분까지 늦지않게 배 앞으로 오세요..(늦게 오시면 주차 하기 힘듭니다.)*철수시간:오후3시 ☆☆예약하신분들은 입금까지 해주셔야 예약확정입니다.☆☆예약은 신중하게 해 주세요..함께 하실 조사님들 선상 24로 예약해 주세용. .010 9294 2735로 문자 남겨주세요.☆예약하러 들어가기 ☆https://blueocean.sunsang24.com*** 여수 뉴푸른바다호 예약 안내 ***예약문의 : 010-9294-2735오시는길 : 전남 여수시 어항단지로 18 (소경도대합실 앞 방파제 끝쪽 좌측)홈페이지 : https://blueocean.sunsang24.com/
*안녕하세요..뉴푸른바다호 입니다*#7.93톤 #쭈꾸미낚시 # 선장.사무장포함:18인승#12월 16일 부터 감성돔 출조#정직한조황#거짓없는 조황#솔직한 조황사진 #종일반#파격선비 이벤트:5만원(내일:15일) (입금안하신분들 입금해 주세요. 미 입금시 예약 취소 합니다)바람이 부는 와중에도 따복 따복 잘 잡고 있습니다.☆내일 쭈꾸미 출조 합니다. 신기.화태권으로 갑니다.또?어디로 튈지 몰라유. .12자리 여유 있습니다.쭈꾸미 마지막 출조. . *선비:5만원(점심없음)*선사제공(생수.음료수.커피.스낵류.컵라면)☆화요일 부터. 감성돔(선상) 출조합니다선실에 따뜻하게 난방 틀어드립니다. 날씨가 많이 추워졌습니다..옷 따뜻하게 챙겨 입고 오세요.핫팩은 필수 ~~*출조시간:06시20분까지 늦지않게 배 앞으로 오세요..(늦게 오시면 주차 하기 힘듭니다.)*철수시간:오후3시 ☆☆예약하신분들은 입금까지 해주셔야 예약확정입니다.☆☆예약은 신중하게 해 주세요..함께 하실 조사님들 선상 24로 예약해 주세용. .010 9294 2735로 문자 남겨주세요.☆예약하러 들어가기 ☆https://blueocean.sunsang24.com*** 여수 뉴푸른바다호 예약 안내 ***예약문의 : 010-9294-2735오시는길 : 전남 여수시 어항단지로 18 (소경도대합실 앞 방파제 끝쪽 좌측)홈페이지 : https://blueocean.sunsang24.com/
*안녕하세요..뉴푸른바다호 입니다*#7.93톤 #쭈꾸미낚시 # 선장.사무장포함:18인승#12월 16일 부터 감성돔 출조#정직한조황#거짓없는 조황#솔직한 조황사진 #종일반#파격선비 이벤트:5만원(12일.15일)#11일.12일:신기권.화태권(선비 7만원) (입금안하신분들 입금해 주세요. 미 입금시 예약 취소 합니다)12월13일 쭈꾸미 조황입니다.신기찍고~나라도찍고~적금찍고~환~~장~~허~~네~~여기저기 다녀봐도 낱마리. .싸이즈는 좋으나 마릿수가 거시기허네요. 그나마 마지막 포인트에서 쭉~쭉~ㅠ.ㅠ때 아닌 물메기 한마리 득템. . 울조사님들 끝까지최선을 다하시고 열심히하여 주셨습니다.함께 해주신 조사님들 수고많으셨습니다.☆월요일 쭈꾸미 12자리 여유 있습니다.*선비:5만원(점심없음)*선사제공(생수.음료수.커피.스낵류.컵라면)선실에 따뜻하게 난방 틀어드려요 날씨가 많이 추워졌습니다..옷 따뜻하게 챙겨 입고 오세요.핫팩은 필수 ~~ *출조시간:06시20분까지 늦지않게 배 앞으로 오세요..(늦게 오시면 주차 하기 힘듭니다.)*철수시간:오후3시 ☆☆예약하신분들은 입금까지 해주셔야 예약확정입니다.☆☆예약은 신중하게 해 주세요..함께 하실 조사님들 선상 24로 예약해 주세용. .010 9294 2735로 문자 남겨주세요.☆예약하러 들어가기 ☆https://blueocean.sunsang24.com/*** 여수 뉴푸른바다호 예약 안내 ***예약문의 : 010-9294-2735오시는길 : 전남 여수시 어항단지로 18 (소경도대합실 앞 방파제 끝쪽 좌측)홈페이지 : https://blueocean.sunsang24.com/
*안녕하세요..뉴푸른바다호 입니다*#7.93톤 #쭈꾸미낚시 # 선장.사무장포함:18인승#12월 16일 부터 감성돔 출조#정직한조황#거짓없는 조황#솔직한 조황사진 #종일반#파격선비 이벤트:6만원(15일)#11일.12일:신기권.화태권(선비 7만원) (입금안하신분들 입금해 주세요. 미 입금시 예약 취소 합니다)☆내일 쭈꾸미 출조 합니다. 신기.화태권으로 갑니다.지금 좋은소식이 들립니다.. 밥알이찬 쭈꾸미 잡으러 오세요.현재 4분 예약중12자리 여유 있습니다.*선비:7만원(점심없음)*선사제공(생수.음료수.커피.스낵류.컵라면)아침에는 떡국 드립니다.선실에 따뜻하게 난방 틀어드립니다. 날씨가 많이 추워졌습니다..옷 따뜻하게 챙겨 입고 오세요.핫팩은 필수 ~~*출조시간:06시20분까지 늦지않게 배 앞으로 오세요..(늦게 오시면 주차 하기 힘듭니다.)*철수시간:오후3시 ☆☆예약하신분들은 입금까지 해주셔야 예약확정입니다.☆☆예약은 신중하게 해 주세요..함께 하실 조사님들 선상 24로 예약해 주세용. .010 9294 2735로 문자 남겨주세요.☆예약하러 들어가기 ☆https://blueocean.sunsang24.com/*** 여수 뉴푸른바다호 예약 안내 ***예약문의 : 010-9294-2735오시는길 : 전남 여수시 어항단지로 18 (소경도대합실 앞 방파제 끝쪽 좌측)홈페이지 : https://blueocean.sunsang24.com/
*안녕하세요..뉴푸른바다호 입니다*#7.93톤 #쭈꾸미낚시 # 선장.사무장포함:18인승#12월 16일 부터 감성돔 출조#정직한조황#거짓없는 조황#솔직한 조황사진 #종일반#파격선비 이벤트:5만원(10일)#11일.12일:신기권.화태권(선비 7만원) (입금안하신분들 입금해 주세요. 미 입금시 예약 취소 합니다)☆내일 쭈꾸미 출조 합니다.사리때는 내만권에서 알 쭈도 보입니다.뻘지형에서 낚시 합니다.현재 7분 예약중(출항확정)9자리 여유 있습니다.*선비:5만원(점심없음)*선사제공(생수.음료수.커피.스낵류.컵라면)선실에 따뜻하게 난방 틀어드립니다. 날씨가 많이 추워졌습니다..옷 따뜻하게 챙겨 입고 오세요.핫팩은 필수 ~~*출조시간:06시20분까지 늦지않게 배 앞으로 오세요..(늦게 오시면 주차 하기 힘듭니다.)*철수시간:오후3시 ☆☆예약하신분들은 입금까지 해주셔야 예약확정입니다.☆☆예약은 신중하게 해 주세요..함께 하실 조사님들 선상 24로 예약해 주세용. .010 9294 2735로 문자 남겨주세요.☆예약하러 들어가기 ☆https://blueocean.sunsang24.com/*** 여수 뉴푸른바다호 예약 안내 ***예약문의 : 010-9294-2735오시는길 : 전남 여수시 어항단지로 18 (소경도대합실 앞 방파제 끝쪽 좌측)홈페이지 : https://blueocean.sunsang24.com/
*안녕하세요..뉴푸른바다호 입니다*#7.93톤 #쭈꾸미낚시 # 선장.사무장포함:18인승12월 16일 부터 감성돔 출조#정직한조황#거짓없는 조황#솔직한 조황사진 #종일반(입금안하신분들 입금해 주세요. 미 입금시 예약 취소 합니다)(11월30일) 쭈꾸미 조황입니다.오늘도 신기.화태 쪽에서 쭈꾸미 잡았네요. .잘 잡으신분들은 80~90수중간 정도 되시는분들은 40수~60수 이상. . .큰문어를 잡았는데..탈출 해부렀데요. .ㅠ오후 들어서 싸이즈가 문꾸미 부터 문어 새끼 싸이즈 까지 . .신발짝. . 돼지갑이도 나왔습니다.어제보다 조황이 조금 저조합니다.바다속은 아무도 모르는거니깐요. .매일 매일 틀려요. .ㅠ함께 해주신 조사님들 수고많으셨습니다.☆내일 쭈꾸미 출조 합니다.자리 여유 있습니다.*선비:6만원(점심없음) 날씨가 많이 추워졌습니다..옷 따뜻하게 챙겨 입고 오세요.*출조시간:06시까지 늦지않게 배 앞으로 오세요..(늦게 오시면 주차 하기 힘듭니다.)*철수시간:오후3시 ☆☆예약하신분들은 입금까지 해주셔야 예약확정입니다.☆☆예약은 신중하게 해 주세요..(48시간 이내로 입금해주세요..)함께 하실 조사님들 선상 24로 예약해 주세용. .010 9294 2735로 문자 남겨주세요.☆예약하러 들어가기 ☆https://blueocean.sunsang24.com/*** 여수 뉴푸른바다호 예약 안내 ***예약문의 : 010-9294-2735오시는길 : 전남 여수시 어항단지로 18 (소경도대합실 앞 방파제 끝쪽 좌측)홈페이지 : https://blueocean.sunsang24.com/
*안녕하세요..뉴푸른바다호 입니다*#7.93톤 #쭈꾸미낚시 # 선장.사무장포함:18인승12월 16일 부터 감성돔 출조#정직한조황#거짓없는 조황#솔직한 조황사진 #종일반(입금안하신분들 입금해 주세요. 미 입금시 예약 취소 합니다)(11월29일) 쭈꾸미 조황입니다.15분의 조사님들 모시고 출조댕겨 왔습니다.1분 조사님께서 급한 사정으로못 오셨습니다.신기.화태 쪽에서 쭈꾸미 잡았네요. .새벽 부터 피~~딩한쪽 라인 7분이 연타로 잡아내시네요. .근디 싸이즈는 대.중.소. . 이게 왠일 9월달 쭈꾸미가 나와요. .ㅠ문꾸미도 나오고 . .신발짝. 갑이도 나왔습니다.전체 중에서 100수 하신은 3분 나머지 조사님들은 70~~80수 정도함께 해주신 조사님들 수고많으셨습니다.***참고***(오늘 에기는 메가바이탄 55그람 짜리투명고추장이 잘 먹혔습니다.)☆월요일 쭈꾸미 출조 합니다.뻘 지형에서 낚시 합니다.수심이 낮아요. .자리 여유 있습니다.*선비:7만원(점심없음)아침에는 떡국 드립니다. 날씨가 많이 추워졌습니다..옷 따뜻하게 챙겨 입고 오세요.*출조시간:05시50분까지 늦지않게 배 앞으로 오세요..(늦게 오시면 주차 하기 힘듭니다.)*철수시간:오후3시 ☆☆예약하신분들은 입금까지 해주셔야 예약확정입니다.☆☆(12시간 이내로 입금해주세요..)함께 하실 조사님들 선상 24로 예약해 주세용. .010 9294 2735로 문자 남겨주세요.☆예약하러 들어가기 ☆https://blueocean.sunsang24.com/*** 여수 뉴푸른바다호 예약 안내 ***예약문의 : 010-9294-2735오시는길 : 전남 여수시 어항단지로 18 (소경도대합실 앞 방파제 끝쪽 좌측)홈페이지 : https://blueocean.sunsang24.com/
*안녕하세요..뉴푸른바다호 입니다* #7.93톤 #쭈꾸미낚시 # 선장.사무장포함:18인승#정직한조황#거짓없는 조황#솔직한 조황사진(입금안하신분들 입금해 주세요. 미 입금시 예약 취소 합니다)(11월26일) 종일반 쭈꾸미 조황 입니다.싸이즈는 좋은데 ..마릿수가 안되네요. .(선장님이 많이 싸돌아 다녀서.ㅠ.ㅠ)피딩도 있었네요...잘 잡는분은 70수~80수 정도나머지 분들은 30수~50수. . 밥알이 보이긴 보입니다. .함께 해주신 조사님들 수고많으셨습니다.오늘은 예비특보가 내려져서 휴항합니다.☆내일 쭈꾸미 출조 합니다. 자리 여유 있습니다.*선비:7만원(점심없음)아침에는 오뎅꼬지 드립니다. 날씨가 많이 추워졌습니다..옷 따뜻하게 챙겨 입고 오세요.*출조시간:05시50분까지 늦지않게 배 앞으로 오세요..(늦게 오시면 주차 하기 힘듭니다.)*철수시간:오후3시 ☆☆예약하신분들은 입금까지 해주셔야 예약확정입니다.☆☆예약하시고 입금하셔요.(24시간 이내 입금안하시면자동 취소 처리 합니다.)함께 하실 조사님들 선상 24로 예약해 주세용. .010 9294 2735로 문자 남겨주세요.☆예약하러 들어가기 ☆https://blueocean.sunsang24.com/*** 여수 뉴푸른바다호 예약 안내 ***예약문의 : 010-9294-2735오시는길 : 전남 여수시 어항단지로 18 (소경도대합실 앞 방파제 끝쪽 좌측)홈페이지 : https://blueocean.sunsang24.com/
*안녕하세요..뉴푸른바다호 입니다* #7.93톤 #쭈꾸미낚시 # 선장.사무장포함:18인승#정직한조황#거짓없는 조황#솔직한 조황사진(입금안하신분들 입금해 주세요. 미 입금시 예약 취소 합니다)☆수요일 쭈꾸미 출조 합니다.날씨가 딱 하루 좋습니다. 12자리 여유 있습니다.*선비:7만원(점심없음)아침에는 오뎅꼬지 드립니다. 날씨가 많이 추워졌습니다..옷 따뜻하게 챙겨 입고 오세요.*출조시간:05시50분까지 늦지않게 배 앞으로 오세요..(늦게 오시면 주차 하기 힘듭니다.)*철수시간:오후3시 ☆☆예약하신분들은 입금까지 해주셔야 예약확정입니다.☆☆예약하시고 입금하셔요.(24시간 이내 입금안하시면자동 취소 처리 합니다.)함께 하실 조사님들 선상 24로 예약해 주세용. .010 9294 2735로 문자 남겨주세요.☆예약하러 들어가기 ☆https://blueocean.sunsang24.com/*** 여수 뉴푸른바다호 예약 안내 ***예약문의 : 010-9294-2735오시는길 : 전남 여수시 어항단지로 18 (소경도대합실 앞 방파제 끝쪽 좌측)홈페이지 : https://blueocean.sunsang24.com/
*안녕하세요..뉴푸른바다호 입니다*#갑오징어 #쭈꾸미출조 #7.93톤# 선장.사무장포함:18인승#정직한조황#거짓없는 조황#솔직한 조황사진#쭈꾸미 선비:7만원(점심없음)입금안하신분들 입금해 주세요(미 입금시 예약 취소 하겠습니다)(11월22일) 종일반 갑오징어 조황입니다.신발짝 돼지갑이도 나오고..너무몸집이 커서 호수에 들어가지못하는 해프닝도 있었네요. .포인트 이동하면서 한마리씩 모은귀한 갑오징어 입니다. 갑이는 일요일날 졸업식입니다.월요일부터 쭈꾸미 출조 합니다.자리 여유 있습니다.*선비:7만원(점심없음)아침에는 따뜻한 오뎅꼬지 드립니다.날씨가 갑자기 추워졌습니다오실때 옷은 따뜻하게 입고 오세요. .*출조시간:05시50분 까지 배 앞으로 오세요..(늦게 오시면 주차 하기 힘듭니다.)*철수시간:오후3시☆☆예약하신분들은 입금까지 해주셔야 예약확정입니다.☆☆예약하시고 입금하셔요...(전화.문자 안드립니다. .입금안하시면자동으로 예약취소 합니다)장난삼아 예약걸어놓지 마세요함께 하실 조사님들 선상 24로 예약해 주세용. .010 9294 2735로 문자 남겨주세요.☆예약하러 들어가기 ☆https://blueocean.sunsang24.com/*** 여수 뉴푸른바다호 예약 안내 ***예약문의 : 010-9294-2735오시는길 : 전남 여수시 어항단지로 18 (소경도대합실 앞 방파제 끝쪽 좌측)홈페이지 : https://blueocean.sunsang24.com/
*안녕하세요..뉴푸른바다호 입니다*#갑오징어 #쭈꾸미출조 #7.93톤# 선장.사무장포함:18인승#정직한조황#거짓없는 조황#솔직한 조황사진#쭈꾸미 선비:7만원(점심없음)입금안하신분들 입금해 주세요(미 입금시 예약 취소 하겠습니다)(11월22일) 종일반 갑오징어 조황입니다.신발짝 돼지갑이도 나오고..너무몸집이 커서 호수에 들어가지못하는 해프닝도 있었네요. .포인트 이동하면서 한마리씩 모은귀한 갑오징어 입니다. 갑이는 일요일날 졸업식입니다.월요일부터 쭈꾸미 출조 합니다.자리 여유 있습니다.*선비:7만원(점심없음)아침에는 따뜻한 오뎅꼬지 드립니다.날씨가 갑자기 추워졌습니다오실때 옷은 따뜻하게 입고 오세요. .*출조시간:05시50분 까지 배 앞으로 오세요..(늦게 오시면 주차 하기 힘듭니다.)*철수시간:오후3시☆☆예약하신분들은 입금까지 해주셔야 예약확정입니다.☆☆예약하시고 입금하셔요...(전화.문자 안드립니다. .입금안하시면자동으로 예약취소 합니다)장난삼아 예약걸어놓지 마세요함께 하실 조사님들 선상 24로 예약해 주세용. .010 9294 2735로 문자 남겨주세요.☆예약하러 들어가기 ☆https://blueocean.sunsang24.com/*** 여수 뉴푸른바다호 예약 안내 ***예약문의 : 010-9294-2735오시는길 : 전남 여수시 어항단지로 18 (소경도대합실 앞 방파제 끝쪽 좌측)홈페이지 : https://blueocean.sunsang24.com/
*안녕하세요..뉴푸른바다호 입니다* #7.93톤 #쭈꾸미낚시 # 선장.사무장포함:18인승#정직한조황#거짓없는 조황#솔직한 조황사진(입금안하신분들 입금해 주세요. 미 입금시 예약 취소 합니다)수심낮은곳에서따박 따박 잘 잡고 있습니다.쌍걸이도 올라오고요. 싸이즈도 굿~~~ 입니다요☆내일도 쭈꾸미 출조 합니다. 자리 여유 있습니다.*선비:6만원(점심없음)♤토.일요일 쭈.갑에서 갑오징어로 출조 변경합니다.*토요일 갑~5자리 여유*일요일 갑~~1자리 여유(입금해 주세요..미 입금시 취소 하겠습니다)*쭈.갑은 포인트가 같아서 두종류 동시에 노릴수 있습니다.날씨가 많이 추워졌습니다..옷 따뜻하게 챙겨 입고 오세요.*출조시간:05시50분까지 늦지않게 배 앞으로 오세요..(늦게 오시면 주차 하기 힘듭니다.)*철수시간:오후3시 ☆☆예약하신분들은 입금까지 해주셔야 예약확정입니다.☆☆예약하시고 입금하셔요...전화.문자드리면 답도 없고 전화는 안받으시고너무 속이 상합니다. .함께 하실 조사님들 선상 24로 예약해 주세용. .010 9294 2735로 문자 남겨주세요.☆예약하러 들어가기 ☆https://blueocean.sunsang24.com/*** 여수 뉴푸른바다호 예약 안내 ***예약문의 : 010-9294-2735오시는길 : 전남 여수시 어항단지로 18 (소경도대합실 앞 방파제 끝쪽 좌측)홈페이지 : https://blueocean.sunsang24.com/
*안녕하세요..뉴푸른바다호 입니다* #7.93톤 #쭈꾸미낚시 # 선장.사무장포함:18인승#정직한조황#거짓없는 조황#솔직한 조황사진(입금안하신분들 입금해 주세요. 미 입금시 예약 취소 합니다)(11월16일) 종일반 쭈꾸미 조황입니다. 오늘은 60~~80수. 그렇지 못 한분들도 몇분계십니다.싸이즈가 크니 다들 좋아하셨습니다.요즘 진주펄 애자가 잘 탑니다. .그리고 왠~~일 갑이 들이 어찌그리 설치는지. . . 물었다하면 갑 이네요. . 신발짝. .돼지 갑도 나왔습니다.이틀 동안 낚시해주신 (신**)일행4분 조사님들께도 너무수고하셨고 감사 합니다. .☆참고로 지퍽팩은 특대형 입니다함께 해주신 조사님들 수고 많으셨습니다.☆수요일 기상이 좋네요. . 시때라 쭈&갑으로 출조 합니다. 10자리 여유 있습니다.*선비:6만원(점심없음)♤토.일요일 쭈.갑에서 갑오징어로 출조 변경합니다.*쭈.갑은 포인트가 같아서 두종류 동시에 노릴수 있습니다.날씨가 많이 추워졌습니다..옷 따뜻하게 챙겨 입고 오세요.*출조시간:05시20분까지 늦지않게 배 앞으로 오세요..(늦게 오시면 주차 하기 힘듭니다.)*철수시간:오후2시30분 (잘 나오면 더)☆☆예약하신분들은 입금까지 해주셔야 예약확정입니다.☆☆예약하시고 입금하셔요...전화.문자드리면 답도 없고 전화는 안받으시고너무 속이 상합니다. .함께 하실 조사님들 선상 24로 예약해 주세용. .010 9294 2735로 문자 남겨주세요.☆예약하러 들어가기 ☆https://blueocean.sunsang24.com/*** 여수 뉴푸른바다호 예약 안내 ***예약문의 : 010-9294-2735오시는길 : 전남 여수시 어항단지로 18 (소경도대합실 앞 방파제 끝쪽 좌측)홈페이지 : https://blueocean.sunsang24.com/
*안녕하세요..뉴푸른바다호 입니다* #7.93톤 #쭈꾸미낚시 # 선장.사무장포함:18인승#정직한조황#거짓없는 조황#솔직한 조황사진(입금안하신분들 입금해 주세요. 미 입금시 예약 취소 합니다)(11월14일) 종일반 쭈꾸미 조황입니다.초보자 조사님들이 절반이상. . ㅠ알려드리면 건성으로 듣고. .할려는 의지는 제로. . 기운 빠집니다. .오늘 하루도 힘든 하루.ㅠ.ㅠ잘 잡으신분들은 70~~80수. .그래도 조과 차이는 많이 있습니다. 애자도 챙겨 오세요 .☆참고로 지퍽팩은 특대형 입니다함께 해주신 조사님들 수고 많으셨습니다.♤다음주 월.화요일은 기상이 별로 이구요. .수요일 부터 기상이 좋네요. . 시때라 쭈&갑으로 출조 합니다. 12자리 여유 있습니다.*선비:6만원(점심없음)날씨가 많이 추워졌습니다..옷 따뜻하게 챙겨 입고 오세요.*출조시간:05시20분까지 늦지않게 배 앞으로 오세요..(늦게 오시면 주차 하기 힘듭니다.)*철수시간:오후2시30분 (잘 나오면 더)☆☆예약하신분들은 입금까지 해주셔야 예약확정입니다.☆☆예약하시고 입금하셔요...전화.문자드리면 답도 없고 전화는 안받으시고너무 속이 상합니다. .함께 하실 조사님들 선상 24로 예약해 주세용. .010 9294 2735로 문자 남겨주세요.☆예약하러 들어가기 ☆https://blueocean.sunsang24.com/*** 여수 뉴푸른바다호 예약 안내 ***예약문의 : 010-9294-2735오시는길 : 전남 여수시 어항단지로 18 (소경도대합실 앞 방파제 끝쪽 좌측)홈페이지 : https://blueocean.sunsang24.com/





























