조황관리HOME / 조황관리 / 상세정보

제목 : 12일 감성돔 조황입니다(내일 4자리 여유 있습니다)
등록일 : 2026-01-13












*안녕하세요..뉴푸른바다호 입니다*

#감성돔 #감성돔출조 
#감성돔선상 
#점주조황 #선상찌흘림 
#솔직한 조황

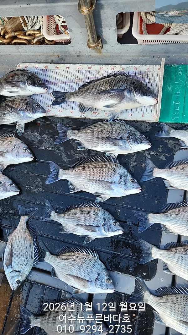
12일 감성돔 조황 입니다.
3분의 조사님들 모시고
손맛보고 왔습니다.

함께하신. 조사님들 수고
하셨습니다.

내일 감성돔 출조 합니다.

날씨 괜찮습니다.
 4자리 여유 있습니다.

요즘 제철인 감시가 제~일 맛있습니다

*선비:12만원
(밑밥.미끼.식사 포함)

*선사제공
(생수.음료수.컵라면.커피.스낵류)

쿡 쿡 쳐박는 짜릿한 손맛 보러 오세요.

감성돔은 쭈~~~욱 출조 합니다.

*출조시간은 전날 오후에 문자 드립니다.
(문자 확인 꼭~ 꼭 부탁드립니다)

함께 하실 조사님들 문자또는 전화 주세요.
010. 9294. 2735로 콜~~

☆선상 24로 예약 하러가기



*** 여수 뉴푸른바다호 예약 안내 ***


예약문의 : 010-9294-2735

오시는길 : 전남 여수시 어항단지로 18 (소경도대합실 앞 방파제 끝쪽 좌측)

모바일.gif 

Top